Landwirtschaft

La Palma: Stallpflicht für Hühner

Sams­tag, der 08.11.2025 – 16.00 Uhr – Als Vor­sicht­maß­nah­me hat das spa­ni­sche Land­wirt­schafts­mi­nis­te­ri­um ange­ord­net, dass ab kom­men­den Mon­tag alle Hüh­ner, Enten und Gän­se in den Stall müs­sen. Außer­dem dür­fen sie kein Trinkwasser…


Bananen Plantagen durch Schädlinge gefährdet

Sams­tag, der 18.10.2025 – 13.00 Uhr – Plan­ta­gen: Der Ver­band der Land­wirt­schafts­mit­ar­bei­ter (Atra­ti­can) beschul­digt die kana­ri­sche und die spa­ni­sche Zen­tral­re­gie­rung, sie ihrem Schick­sal zu über­las­sen. Der Grund für die­sen Vor­wurf ist, dass…



Mit Drohnen und KI im Wein- und Olivenanbau

Don­ners­tag, der 09.10.2025 – 16.00 Uhr – Das Minis­te­ri­um für Land­wirt­schaft, Vieh­zucht, Fische­rei und Ernäh­rungs­sou­ve­rä­ni­tät der Kana­ri­schen Inseln ent­wi­ckelt gemein­sam mit der Uni­ver­si­tät Las Pal­mas de Gran Cana­ria (ULPGC) ein Prä­zi­si­ons­land­wirt­schafts­pro­jekt zur…


Chiquita baut erstmals in Europa Bananen an

Mitt­woch, der 08.10.2025 – 15.00 Uhr – Der US-ame­ri­­ka­­ni­­sche Kon­zern United Fruit Com­pa­ny, bekannt unter der Mar­ke Chi­qui­ta, hat auf einer Plan­ta­ge in Sizi­li­en die ers­ten 20.000 Bana­nen­stau­den gepflanzt, die ab Mit­te 2026 erste…


Bananen aus dem Automaten

Mitt­woch, der 01.10.2025 – 10.40 Uhr – Plá­ta­no de Cana­ri­as hat in Zusam­men­ar­beit mit dem Auto­ma­ten­un­ter­neh­men TARECA die ers­te Pha­se sei­ner Initia­ti­ve gestar­tet, um den Ver­zehr von fri­schem Obst in Schu­len und…



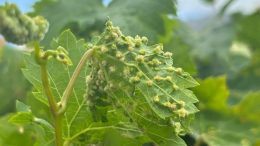
Reblaus im Vormarsch

Don­ners­tag, der 21.08.2025 – 12.30 Uhr – Aus Angst vor der Reb­laus hat die kana­ri­sche Regie­rung den Import von Wein­re­ben vom Fest­land ver­bo­ten. Die gefähr­li­che Pla­ge wur­de in Wein­ber­gen in La Laguna,…